Grundstück

WUNDERSCHÖNES UND PROVISIONSFREIES BAUGRUNDSTÜCK IN VEHLEFANZ

179.000 EUR

Beschreibung

Ihr neues Zuhause in Vehlefanz! Nächstes Jahr schon im Grünen wohnen!

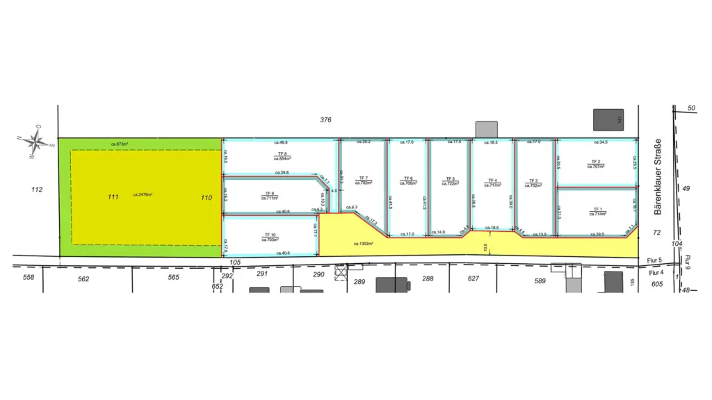
Wir bieten Ihnen hier ein schönes und gut geschnittenes Baugrundstück zum Kauf an. Die Grundstücksgröße beträgt ca. 702m2 womit es ausreichend Platz für den Bau eines Einfamilienhauses samt Carport Terasse und vieles mehr bietet. Der Preis für die derzeit im Bau befindliche Zufahrt ist bereits im Kaufpreis enthalten. Die notwendige Medienerschließung liegt in der Straße vor den Baugrundstücken an. Besichtigungen sind jederzeit in Eigenregie möglich. Bebaubar sind die die Grundstücke gemäß dem Bebauungsplan Nr. 76/2021 der Gemeinde Oberkrämer. Möglich sind Bungalows, klassische Einfamilienhäuser und Stadtvillen.

Weitere Informationen zu den Grundstücken finden Sie auf der dazugehörigen Projektwebseite unter:
https://www.grundstueck-kaufen-vehlefanz.de

Besondere Merkmale

Ruhige Lage

Weitblick / Fernsicht

Nähe zu Wald / See / Stadt

Weitere Bilder

Name

Ihr Kontakt

Dennis Kallmeier

Als Immobilienexperte der neuen Generation verbinde ich moderne Tools mit regionaler Kompetenz. Ich begleite Sie vom Erstgespräch bis zum Notartermin – digital wie persönlich.
Nach oben scrollen